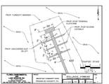
Description
Sandcastles and Bay fishing all in one place! Grace Bay is a small community of 5 lots, and it includes a 1.23 acre common area that abuts E Gulf Beach Drive. Lot 3 is .94 acres and it is approximately 64' wide. The water tap has been paid and the lines have been run to each lot. Construction on a six slip community dock begins May, 2026. The relaxed HOA has no architectural control committee and building restrictions match those of Franklin County. It's the best of all worlds. Lot 5 of Grace Bay is also available - see MLS #326417
-
0BEDS
-
0.94ACRES
-
0BATHS
-
01/2 BATHS
School Ratings & Info
Description
Sandcastles and Bay fishing all in one place! Grace Bay is a small community of 5 lots, and it includes a 1.23 acre common area that abuts E Gulf Beach Drive. Lot 3 is .94 acres and it is approximately 64' wide. The water tap has been paid and the lines have been run to each lot. Construction on a six slip community dock begins May, 2026. The relaxed HOA has no architectural control committee and building restrictions match those of Franklin County. It's the best of all worlds. Lot 5 of Grace Bay is also available - see MLS #326417
Related Properties
© 2026 Realtors Association of Franklin and Gulf Counties. All rights reserved. IDX information is provided exclusively for consumers' personal, non-commercial use and may not be used for any purpose other than to identify prospective properties consumers may be interested in purchasing. Information is deemed reliable but is not guaranteed accurate by the MLS or Rish Real Estate Group. Data last updated: 2026-04-19T23:42:24.387.
